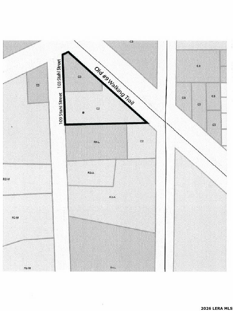
Prime Downtown Boerne building site of just under 3/4 acre near the post office just off Blanco and backing up to the Old #9 Walking Trail. City utilities on site. Triangle shaped parcel with two existing homes and a workshop/storage building addresssed as 103 and 109 Stahl St. 212 +/- combined feet of frontage on Stahl. 327 +/- feet back up to the Old #9 Walking Trail. The Southern side of the property measures +/- 259 feet and is adjacent to a .487 acre parcel also offered for sale by another brokerage. A rare find in the heart of Boerne that could be ideal for commercial/office condos or low-density multifamily such as a duplex or townhomes. 103 Stahl is currently zoned C3 and 109 is zoned C2. Marketing packet available upon request.

Listing Tools

Property Details of 103 Stahl

Property Details

Map Location

Listed by Rodeana Reynolds of RE/MAX North-San Antonio

Based on information submitted to LERA MLS as of February 12, 2026 10:07 AM EST . All data is deemed reliable but is not guaranteed accurate by the MLS. All information should be independently reviewed and verified for accuracy. IDX information is provided exclusively for consumers’ personal, noncommercial use and may not be used for any purpose other than to identify prospective properties consumers may be interested in purchasing.

Hi there! How can we help you?

Contact us using the form below or give us a call.

Send Us A Message:

I agree to receive marketing and customer service calls and text messages from Southern Ranch Sales. To opt out, you can reply 'stop' at any time or click the unsubscribe link in the emails. Consent is not a condition of purchase. Msg/data rates may apply. Msg frequency varies. Privacy Policy.

Do not fill in this field:

This site is protected by reCAPTCHA and the Google Privacy Policy and Terms of Service apply.

Hi there! How can we help you?

Contact us using the form below or give us a call.

Send Us A Message:

Do not fill in this field:

This site is protected by reCAPTCHA and the Google Privacy Policy and Terms of Service apply.

Hi there! How can we help you?

Contact us using the form below or give us a call.

Send Us A Message:

Do not fill in this field:

This site is protected by reCAPTCHA and the Google Privacy Policy and Terms of Service apply.

Do not fill in this field:

This site is protected by reCAPTCHA and the Google Privacy Policy and Terms of Service apply.

Do not fill in this field:

This site is protected by reCAPTCHA and the Google Privacy Policy and Terms of Service apply.

Do not fill in this field:

This site is protected by reCAPTCHA and the Google Privacy Policy and Terms of Service apply.

$

Do not fill in this field:

This site is protected by reCAPTCHA and the Google Privacy Policy and Terms of Service apply.